by Sammy Ketz Agence France-Presse KHARTOUM, Sudan (AFP) — On Sudan’s Tuti Island, where the Blue and White Nile meet, the highest river waters since records began have left people struggling to hold back the rising floods. Wedged between the twin cities of Khartoum and Omdurman, people on Tuti fill bags with sand and small stones in an often futile bid to stop the lapping water from swamping their homes. The world’s longest river is […]
Other News
Thunderstorm advisory raised over parts of N. Luzon
(Eagle News)–A thunderstorm advisory has been raised over parts of Northern Luzon. The Philippine Atmospheric Geophysical and Astronomical Services Administration said moderate to occasionally heavy rainshowers with lightning and strong winds are expected over Apayao (Conner, Flora, Kabugao and Santa Marcela), and Isabela (Cabagan, SanPablo and Tumauini) within 30 minutes to an hour. Meanwhile, moderate to occasionally heavy rainshowers are being experienced in Luna and Pudtol in Apayao, Cagayan (Baggao and Peñablanca), and Isabela (Divilacan, […]
Customs bureau seizes P88.1 million worth of smuggled cigarettes from China
(Eagle News) –The Bureau of Customs has seized P88.1 million worth of smuggled cigarettes from China. In a statement, the bureau said the cigarettes, contained in two containers, arrived separately on Aug. 8 and 13. The shipments–one with 851 cases of cigarettes, and the other with 911 cases–had been declared as containing umbrella and various home furniture. The bureau said according to the Inward Foreign Manifest, the shipments were consigned to GRR Trading, whose recent […]
Man found unresponsive after ship sank in typhoon off Japan
TOKYO, Japan (AFP) — Japan’s coast guard said Friday they found a man floating face-down and unresponsive at sea as they searched for survivors from a ship that sank during a typhoon with 43 crew on board. One survivor has so far been rescued from the ship, and early Friday morning, a coast guard vessel “discovered a man face-down adrift at sea,” a statement said. It was unclear if the man, described as “unconscious”, was […]
Canada backs opposition to Alaska oil drilling threatening caribou
OTTAWA, Canada (AFP) — Canada on Thursday threw its support behind groups fighting to safeguard caribou that are threatened by a recent US approval of oil and gas drilling in Alaska’s Arctic National Wildlife Refuge, which borders the Yukon. The US Department of the Interior in August approved plans for drilling in the remote Arctic region. Interior Secretary David Bernhardt said in an interview with The Wall Street Journal that drilling leases could be auctioned […]
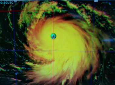
Typhoon “Haishen” enters PAR
Is named “Kristine” (Eagle News) — Typhoon “Haishen” entered the Philippine Area of Responsibility on Friday, Sept. 4. The Philippine Atmospheric Geophysical and Astronomical Services Administration said “Haishen” entered PAR at 9 a.m., and is now named “Kristine.” As of 3 a.m., it was located 1440 kilometers east of extreme Northern Luzon, packing maximum sustained winds of 165 kilometers per hour, and gustiness of up to 205 kph. It was moving west northwest at 15 […]
Former Ozamiz City Councilor Ardot Parojinog found dead in detention cell; PNP orders probe
(Eagle News) — Former Ozamiz City councilor Ricardo “Ardot” Parojinog was found dead inside the city police’s detention facility on Friday, Sept. 4, the Philippine National Police said. According to the PNP spokesperson Lt. Gen. Bernard Banac, Parojinog, who is facing drug-related charges, was found dead at 6 a.m., on the same day he was supposed to attend a court hearing. “No violence was noted,” Banac said. Banac said PNP Chief Camilo Cascolan has ordered […]
Nana downgraded to tropical storm over Guatemala
GUATEMALA CITY, Guatemala (AFP) — Nana was downgraded to a tropical storm on Thursday as it hit Guatemala, several hours after making landfall in Belize as a hurricane. “Nana has weakened to a tropical depression, moving westwards,” said David de Leon, the spokesman for Guatemala’s Coordinator for Disaster Reduction (CONRED.) De Leon said winds had reduced to a maximum of 55 kilometers per hour. “Continued weakening is expected, and Nana is expected to degenerate to […]
Brazil tops 4 million cases amid signs pandemic slowing
by Eugenia LOGIURATTO RIO DE JANEIRO, Brazil (AFP) — Brazil topped four million Covid-19 cases on Thursday as health ministry officials said infections were beginning to slow in the world’s second worst-hit country. Since the first case came to light on February 26, the South American colossus has registered more than 4.04 million infections and over 124,600 deaths, second only to the United States. There were almost 44,000 new cases over the previous 24 hours […]
Grizzlies’ Morant scoops NBA Rookie of Year award
MIAMI, United States (AFP) — Memphis Grizzlies star Ja Morant was a runaway winner for the NBA’s Rookie of the Year award announced Thursday, receiving 99 out of a possible 100 first-place votes. Morant became the club’s second player to scoop the award, following in the footsteps of Spain’s Pau Gasol, who won it in 2002. New Orleans Pelicans forward Zion Williamson, the top overall pick in last year’s NBA draft, claimed the only other […]
DFA: Over 1000 overseas Filipinos repatriated in recent days
(Eagle News)–Over 1000 overseas Filipinos were repatriated amid the COVID-19 pandemic on Wednesday and Thursday, the Department of Foreign Affairs said. According to the DFA, of the at least 1391, 361 came from Beirut, Lebanon; 180 from Macau; over 200 from Dubai in the United Arab Emirates; over 500 from Qatar; and around 150 from LA, in the United States. The DFA said this was the second DFA-chartered mass repatriation flight from Lebanon since the […]
PNP announces other reassignments
(Eagle News)–The Philippine National Police has announced other reassignments following the retirement of Gen. Archie Gamboa as PNP chief. In a statement, the PNP said the following reassignments took effect on Thursday, Sept. 3: PMGen Gilberto Cruz – Director, PNPA PMGen Emmanuel Luis Licup – Director for Comptrollership PBGen Alfred Corpus – Acting Director for Operations PBGen Rolando Hinanay – Acting Director for Personnel and Records Management PMGen Jose Chiquito Malayo – Director for Integrate […]





