
https://youtu.be/ZpppTbrN1I4
World’s largest captive crocodile Cassius dies in Australia
November 3, 2024
Developing story: Six wounded in stabbing attack in Israel, police say
November 3, 2024
Harris opens ‘Saturday Night Live,’ urges US to ‘keep Calm-ala’ before election
November 3, 2024

https://youtu.be/ZpppTbrN1I4

Punta Gorda, United States | AFP |
by Gerard MARTINEZ
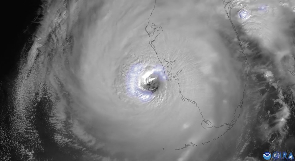
Hurricane Ian slammed into the coast of southwest Florida as a monster Category 4 storm on Wednesday bringing “catastrophic” storm surges, wind and flooding as officials readied a huge emergency response.
The US Border Patrol said 20 migrants were missing after their boat sank, with four Cubans swimming to shore in the Florida Keys islands and three rescued at sea by the coast guard.
The National Hurricane Center (NHC) said the eye of the “extremely dangerous” hurricane made landfall just after 3:00 pm (1900 GMT) on the barrier island of Cayo Costa, west of the city of Fort Myers.
Dramatic television footage from the coastal city of Naples showed floodwaters surging into beachfront homes, submerging roads and sweeping away vehicles.
Some neighborhoods in Fort Myers, which has a population of more than 80,000, resembled lakes.
The NHC said Ian was packing maximum sustained winds of 150 miles (240 kilometers) per hour when it landed, “battering the Florida peninsula with catastrophic” conditions.
Florida’s Governor Ron DeSantis said that there were more than 1.1 million reported power outages in the state and that the figure is expected to grow.
In the three counties where the hurricane first hit, almost all power was down.
Ian is set to impact several million people across Florida and in the southeastern states of Georgia and South Carolina.
As hurricane conditions spread, forecasters warned of a once-in-a-generation calamity.
“This is going to be a storm we talk about for many years to come,” said National Weather Service director Ken Graham. “It’s a historic event.”
DeSantis said the state was going to experience a “nasty, nasty day, two days.”
In Punta Gorda, north of Fort Myers, streets emptied as howling winds ripped fronds off palm trees and shook electricity poles.
Some 2.5 million people were under mandatory evacuation orders in a dozen coastal Florida counties, with several dozen shelters set up, and voluntary evacuation recommended in others.
For those who decided to ride out the storm, authorities stressed it was too late to flee and residents should hunker down and stay indoors.
Airports in Tampa and Orlando stopped all commercial flights and cruise ship companies delayed departures or canceled voyages.
With up to two feet (61 centimeters) of rain expected to fall on parts of the so-called Sunshine State, and a storm surge that could reach devastating levels of 12 to 18 feet (3.6 to 5.5 meters), authorities were warning of dire emergency conditions.
“This is a life-threatening situation,” the NHC warned.
The storm was set to move across central Florida before emerging in the Atlantic Ocean by late Thursday.
Ian a day earlier had plunged all of Cuba into darkness after battering the country’s west as a Category 3 storm and downing the island’s power network.
“Desolation and destruction. These are terrifying hours. Nothing is left here,” a 70-year-old resident of the western city of Pinar del Rio was quoted as saying in a social media post by his journalist son, Lazaro Manuel Alonso.
At least two people died in Pinar del Rio province, Cuban state media reported.
In the United States, the Pentagon said 3,200 national guardsmen were called up in Florida, with another 1,800 on the way.
DeSantis said state and federal responders were assigning thousands of personnel to address the storm response.
“There will be thousands of Floridians who will need help rebuilding,” he said.
As climate change warms the ocean’s surface, the number of powerful tropical storms, or cyclones, with stronger winds and more precipitation is likely to increase.
The total number of cyclones, however, may not.
According to Gary Lackmann, a professor of atmospheric science at North Carolina State University, studies have also detected a potential link between climate change and rapid intensification — when a relatively weak tropical storm surges to a Category 3 hurricane or higher in a 24-hour period, as happened with Ian.
“There remains a consensus that there will be fewer storms, but that the strongest will get stronger,” Lackmann told AFP.
© Agence France-Presse
| Cookie | Duration | Description |
|---|---|---|
| cookielawinfo-checkbox-analytics | 11 months | This cookie is set by GDPR Cookie Consent plugin. The cookie is used to store the user consent for the cookies in the category "Analytics". |
| cookielawinfo-checkbox-functional | 11 months | The cookie is set by GDPR cookie consent to record the user consent for the cookies in the category "Functional". |
| cookielawinfo-checkbox-necessary | 11 months | This cookie is set by GDPR Cookie Consent plugin. The cookies is used to store the user consent for the cookies in the category "Necessary". |
| cookielawinfo-checkbox-others | 11 months | This cookie is set by GDPR Cookie Consent plugin. The cookie is used to store the user consent for the cookies in the category "Other. |
| cookielawinfo-checkbox-performance | 11 months | This cookie is set by GDPR Cookie Consent plugin. The cookie is used to store the user consent for the cookies in the category "Performance". |
| viewed_cookie_policy | 11 months | The cookie is set by the GDPR Cookie Consent plugin and is used to store whether or not user has consented to the use of cookies. It does not store any personal data. |
