Moscow, Russia (AFP) Russian President Vladimir Putin has recognised the independence of Ukraine’s Zaporizhzhia and Kherson regions, according to presidential decrees issued late Thursday, on the eve of Russia finalising their annexation. “I order the recognition of the state sovereignty and independence” of the regions of Zaporizhzhia and Kherson, located in southern Ukraine, Putin said in the decrees, as Russia prepares to formalise the annexation of the two regions, along with Donetsk and Lugansk […]
International
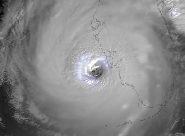
Hurricane wreaks havoc on Florida, Biden warns of death toll
Fort Myers, United States (AFP) Hurricane Ian unleashed “historic” devastation in Florida, flooding homes, washing out roads and bridges and leaving millions without power, officials said Thursday, as President Joe Biden warned of a potentially “substantial” death toll. The storm, one of the most powerful ever to hit the United States, churned towards South Carolina as a Category 1 hurricane after hammering Florida, where at least eight people died and many awaited rescue in […]
Myanmar junta court sentences Australian economist, Suu Kyi to 3 years
Yangon, Myanmar (AFP) Myanmar’s junta sentenced an Australian economist to three years in prison while also handing down another conviction to ousted leader Aung San Suu Kyi, drawing global condemnation on Thursday. Both have been detained since a coup in February last year, when the military ousted Suu Kyi’s government, for which Sean Turnell was an adviser. “Mr Sean Turnell, Daw Aung San Suu Kyi and another three were sentenced to three years imprisonment each […]
Taliban fire into air to disperse women’s rally backing Iran protests
KABUL, Afghanistan (AFP) — Taliban forces fired shots into the air on Thursday to disperse a women’s rally supporting protests in Iran over the death of a woman in the custody of morality police. Deadly protests have erupted in neighboring Iran for the past two weeks, following the death of 22-year-old Mahsa Amini while detained by the Islamic republic’s morality police. Chanting the same “Women, life, freedom!” mantra used in demonstrations in Iran, about 25 […]
Japan urges ‘stable’ China ties, 50 years after normalization
TOKYO, Japan (AFP) — Japan called Thursday for “constructive and stable” ties with China as the two sides marked 50 years since the normalization of relations, albeit with little public fanfare. Growing friction over China’s military might and regional saber-rattling has left ties between Beijing and Tokyo frosty, and there was no major diplomatic ceremony to mark the anniversary. Instead, messages from Japanese Prime Minister Fumio Kishida and Chinese President Xi Jinping were read out […]
US VP Harris lands in S. Korea after North’s missile tests
SEOUL, South Korea (AFP) — US Vice President Kamala Harris arrived in South Korea Thursday to strengthen Washington’s alliance with Seoul, a day after nuclear-armed North Korea tested more ballistic missiles. Harris, who landed at Osan airbase after a trip to Tokyo to attend the state funeral of assassinated former Japanese prime minister Shinzo Abe, is due to meet South Korea’s President Yoon Suk-yeol. She is also set to visit the heavily fortified Demilitarized Zone […]
Iran’s Raisi condemns ‘chaos’ of protests after Mahsa Amini’s death
by Stuart Williams Agence France-Presse PARIS, France (AFP) — Iran’s President Ebrahim Raisi condemned Wednesday the “chaos” sparked by a wave of women-led protests over the death of Mahsa Amini while in the custody of the Islamic republic’s morality police. “Those who took part in the riots must be dealt with decisively, this is the demand of the people,” said Raisi in a televised interview. “People’s safety is the red line of the Islamic republic […]
US finds monkeypox vaccine highly effective in early data
WASHINGTON, United States (AFP) – The monkeypox vaccine is highly effective, protecting people as early as two weeks after the first dose, the US Centers for Disease Control and Prevention said Wednesday. A preliminary analysis posted by the agency found that between July 31 and September 3, unvaccinated people had 14 times the risk of acquiring monkeypox disease compared to people who were vaccinated, 14 days or more after their first shot. The results were […]
Four Palestinians killed in Israeli raid on Jenin
by Guillaume LAVALLÉE Agence France-Press JENIN, Palestinian Territories (AFP) — An Israeli raid targeting alleged militants in a West Bank flashpoint killed four Palestinians on Wednesday, the Palestinian health ministry said, including the brother of a man blamed for a deadly attack in Tel Aviv. The violence was the latest to hit Jenin, in the north of the Israeli-occupied West Bank, an area that has seen near daily clashes between Israeli troops and Palestinian gunmen […]
US rolls out red carpet to Pacific Islands amid China inroads
by Shaun Tandon and Sebastian Smith Agence France-Presse WASHINGTON, United States (AFP) — President Joe Biden’s administration on Wednesday rolled out the red carpet for Pacific Island leaders in the face of rising Chinese influence in the region and said it expected a united front, despite friction with one nation — the Solomon Islands. In a first-of-a-kind summit in Washington, the United States promised greater aid and diplomatic engagement on issues from maritime security to […]
Hurricane Ian causing ‘reverse storm surge’ in Tampa Bay, Florida
https://youtu.be/ZpppTbrN1I4 People in Florida are sharing photos and videos of the impact that Hurricane Ian has been having on the state, including what some are calling a “reverse storm surge,” which saw water being sucked and pushed out of Tampa Bay by the storm. Why did FL shoreline briefly disappear? There's a scientific explanation! Think of it as "reverse storm surge": https://t.co/lEeGzm9bQD pic.twitter.com/6ZzSpJgr2e — Pete Delkus (@wfaaweather) September 11, 2017 (AFP) […]
UPDATE on NHC report: Hurricane Ian pounds Florida as monster Category 4 storm,
https://youtu.be/ZpppTbrN1I4 Punta Gorda, United States | AFP | by Gerard MARTINEZ Hurricane Ian slammed into the coast of southwest Florida as a monster Category 4 storm on Wednesday bringing “catastrophic” storm surges, wind and flooding as officials readied a huge emergency response. The US Border Patrol said 20 migrants were missing after their boat sank, with four Cubans swimming to shore in the Florida Keys islands and three rescued at sea by the […]





