‘Catastrophic’ Dorian pounds Bahamas, US evacuates coast

by Leila MACOR
Agence France Presse

RIVIERA BEACH, United States (AFP) — Hurricane Dorian battered the Bahamas with ferocious wind and rain on Sunday, the monstrous Category 5 storm wrecking towns and homes as it churned on an uncertain path toward the US coast where hundreds of thousands were ordered to evacuate.

There was no immediate word on casualties in the low-lying islands.

Packing sustained winds of 185 miles per hour (295 kph), Dorian crashed onshore in the Abacos Islands, in the northwest of the Bahamas, as the strongest storm ever to hit the Caribbean chain.

It was tied for the second most powerful hurricane ever in the Atlantic basin, the US National Weather Service said — with footage on social media showing major destruction from howling gusts of wind and pounding seawater.

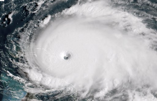
Courtesy AFP

Parts of the Abacos were under water as forecasters warned they faced a towering 18 to 23 foot storm surge. Winds were gusting over 220 mph with no sign of weakening as the storm barreled west over the island of Grand Bahama, the National Hurricane Center in Miami said.

Video posted on the website of the Bahamian newspaper Tribune 242 showed water up to the roofs of wooden houses in what appeared to be a coastal town. Capsized boats floated in muddy brown water dotted with wooden boards, tree branches and other debris.

In other social media footage of what appears to be an inland area, cars were smashed or turned over, telephone poles and trees were snapped like twigs and debris filled the yards of severely damaged homes. AFP could not immediately confirm the authenticity of the footage.

After days of nerve-wracking uncertainty surrounding the storm’s path, the southeastern US states of Florida, Georgia and South Carolina finally ordered coastal residents to evacuate in a mass exodus set to affect hundreds of thousands of people.

The NHC said the storm will be “dangerously close” to the Florida coast Monday night through Tuesday.

On Sunday night, the eastern part of Grand Bahama was experiencing the eye wall of the storm. The NHC said the situation on that island was life-threatening and would only worsen overnight.

“Do not leave your shelter as the eye passes over, as winds will rapidly increase on the other side of the eye,” the NHC warned in its 0200 GMT update.

This satellite image obtained from NOAA/RAMMB, shows Tropical Storm Dorian as it approaches the Bahamas at 13:40 UTC on September 1, 2019. – Monster storm Dorian unleashed “catastrophic conditions” as it hit the northwestern Bahamas Sunday, becoming the strongest hurricane ever recorded in the region, US forecasters said. “Catastrophic hurricane conditions are occurring in the Abacos Islands and will spread across Grand Bahama Island later today and tonight,” the National Hurricane Center wrote in its latest bulletin at 1500 GMT.Packing maximum sustained winds of 180 miles per hour (285 kph), the NHC said Dorian was now “the strongest hurricane in modern records for the northwestern Bahamas.” (Photo by HO / NOAA/RAMMB / AFP) /

Bahamas Prime Minister Hubert Minnis broke down in tears as he addressed a news conference, calling it “probably the most sad and worst day of my life,” the Nassau Guardian reported.

“We’re facing a hurricane… one that we’ve never seen in the history of the Bahamas,” he said.

As of 0200 GMT, the storm was 60 miles (95 kilometers) east of Freeport on Grand Bahama and moving slowly west.

“It feels like we are standing in a line waiting for a beating,” Yasmin Rigby, a resident of Freeport, the island’s main city, told AFP.

A seemingly frantic post on the Facebook page of the fire department of Hope Town, a district of Abaco island, reported widespread destruction.

It read in part like this: “Abaco inn lost villas G and H additional damage to inn as well Hope Town harbour lodge collapsed. Dan Sullivan house top of hill by inn lost roof sea spray gone house called tip of Tahiti gone.”

– Strongest storm to hit Bahamas –
NHC director Ken Graham said the Bahamas would be under major hurricane conditions for a punishing 30 hours or more — enduring roaring winds and torrential rainfall of 15 to 20 inches, even 30 inches in places.

In Washington, President Donald Trump met with his emergency management chiefs and declared “this looks monstrous.”

“We expect that much of the eastern seaboard will be ultimately impacted and some of it very, very severely,” he said.

Florida issued its first evacuation orders in parts of Palm Beach, home of Trump’s Mar-a-Lago resort, and Martin Counties.

South Carolina Governor Henry McMaster followed suit Sunday ordering mandatory evacuations of the state’s coast — affecting some 800,000 people — while Georgia gave orders to evacuate six coastal counties. Both orders take effect Monday at noon.

“Given the strength and unpredictability of the storm, we must prepare for every possible scenario,” McMaster said.

Neighboring North Carolina has also declared a state of emergency.

– ‘Better prepare’ –
Kevin McAleenan, acting homeland security secretary, said hurricane force winds could hit Florida, followed by a prolonged rain event combined with a storm surge.

“That’s going to be very difficult as the storm starts to move northward,” he said on ABC’s “This Week.”

Trump has declared a federal state of emergency in Florida, authorizing US assistance to supplement state and local efforts.

In southern Florida’s Jensen Beach, a mobile home park visited by AFP stood all but empty — its rickety dwellings boarded up with thin wood or metal sheets.

Joe Lewis, a 61-year-old navy veteran — who is diabetic and disabled — was trying to prop up his air conditioner with a wooden post as he prepared to flee the storm’s path.

“When I come back, this place may not be here,” he told AFP. “Mother Nature can be hell. I’ve seen it.”

“There’s only one thing that’s important. It’s not what you own, it’s who you are, and your life. It doesn’t matter if I’ve got a million dollar home, I leave it. My life’s more important.”

 

© Agence France-Presse